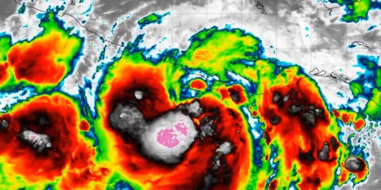
El huracán John, que comenzó como una tormenta tropical la mañana del 23 de septiembre, ha evolucionado rápidamente a un huracán categoría 1, informó el Servicio Meteorológico Nacional (SMN). Según la coordinadora del SMN, Alejandra Méndez Girón, el ciclón se localiza cerca de las costas de Oaxaca y Guerrero, y se ha emitido una zona de prevención en estos estados.
Actualmente, John está a 135 km al sur de Punta Maldonado, Guerrero, y 160 km al oeste-suroeste de Puerto Escondido, Oaxaca, con vientos sostenidos de 140 km/h y ráfagas de hasta 165 km/h, avanzando a 6 km/h. Las autoridades prevén que el huracán podría intensificarse a categoría 3, con vientos de entre 178 km/h y 208 km/h. Se advierte que podría causar daños graves en viviendas, desbordamientos de ríos, deslaves, e inundaciones.
El SMN ha delimitado zonas de prevención por efectos de huracán desde Punta Maldonado hasta Bahías de Huatulco, Oaxaca, y por tormenta tropical desde Bahías de Huatulco hasta Salina Cruz, Oaxaca, así como desde Punta Maldonado hasta Acapulco, Guerrero. Se espera la caída de lluvias torrenciales superiores a 250 mm en Oaxaca y Guerrero, además de lluvias intensas en Chiapas, Veracruz, y Puebla.
Se hace un llamado a la población para que extreme precauciones y siga las indicaciones de Protección Civil, ya que el ciclón podría impactar en tierra entre Guerrero y Oaxaca el martes 24 de septiembre como categoría 3. Posteriormente, se degradaría a tormenta tropical en las primeras horas del miércoles 25.
#Huracán #John #México #ProtecciónCivil #LluviasTorrenciales







