HURACÁN JOHN AMENAZA A MÉXICO CON CATEGORÍA 3
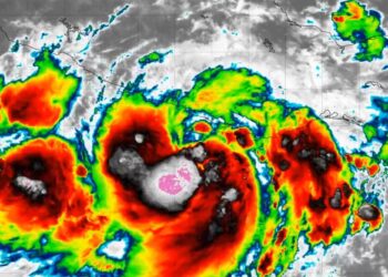
El huracán John, que comenzó como una tormenta tropical la mañana del 23 de septiembre, ha ...
Read moreEl huracán John, que comenzó como una tormenta tropical la mañana del 23 de septiembre, ha ...
Read more© 2023 VeritasNoticias -Noticias con tintas de oficio .
© 2023 VeritasNoticias -Noticias con tintas de oficio .