El Centro Nacional de Huracanes de Estados Unidos informó la posible trayectoria del huracán “Rafael” hacia las costas de Tamaulipas y el sur de Texas.
Ante un posible cambio de ruta, autoridades de Nuevo León monitorean el avance del fenómeno, que se enfilaba hacia Tuxpan, Veracruz.
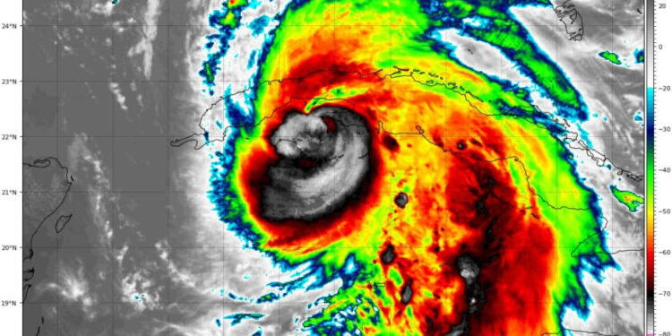
“Rafael” azotaba anoche como huracán categoría 2 a Cuba, a 435 kilómetros al este-noreste de Cancún.
“Se pronostica que Rafael serpenteará sobre el centro sur del Golfo de México este fin de semana y principios de la próxima semana”, señaló el Centro Nacional de Huracanes.
“En el sur y el suroeste del Golfo de México deben monitorear el progreso de este sistema”.
El Gobernador Samuel García anunció la noche del miércoles que el ciclón ya apuntaba hacia Veracruz, pero el Estado continuará atento a su ruta.
“Hasta el momento los modelos muestran que el sistema se desintegra en las costas del centro-sur de Veracruz. Seguiremos atentos a la evolución y trayectoria del Huracán”, publicó el Mandatario estatal.







